| Plectromerus | |
|---|---|
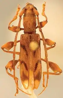
![]() | |
| Plectromerus roncavei (male) | |
| Scientific classification | |
| Kingdom: | |
| Phylum: | |
| Class: | |
| Order: | |
| Suborder: | |
| Family: | |
| Subfamily: | |
| Tribe: | Plectromerini |
| Genus: | Plectromerus |
Plectromerus is a genus of beetles in the subfamily Cerambycinae, and sole member of the tribe Plectromerini. It contains the following species:[1]
- Plectromerus acunai (Fisher, 1936)
- Plectromerus bidentatus Fisher, 1942
- Plectromerus dentipes (Olivier, 1790)
- Plectromerus dezayasi Nearns & Branham, 2008
- Plectromerus distinctus (Cameron, 1910)
- Plectromerus dominicanus (Micheli, 1983)
- Plectromerus exis Zayas, 1975
- Plectromerus fasciatus (Gahan, 1895)
- Plectromerus femoratus (Fabricius, 1792)
- Plectromerus giesberti Nearns & Branham, 2008
- †Plectromerus grimaldii Nearns & Branham, 2005
- Plectromerus hovorei Nearns & Branham, 2008
- Plectromerus josephi Nearns & Branham, 2008
- Plectromerus lingafelteri Micheli & Nearns, 2005
- Plectromerus louisantoini Dalens & Touroult, 2007
- Plectromerus michelii Nearns & Branham, 2008
- Plectromerus morrisi Nearns & Branham, 2008
- Plectromerus navassae Nearns & Steiner, 2006
- Plectromerus ornatus Fisher, 1947
- Plectromerus pinicola Zayas, 1975
- Plectromerus pseudoexis Vitali & Haxaire, 2007
- Plectromerus pumilus Cazier & Lacey, 1952
- Plectromerus ramosi Micheli & Nearns, 2005
- Plectromerus roncavei Nearns & Miller, 2009
- Plectromerus serratus (Cameron, 1910)
- †Plectromerus tertiarius Vitali, 2005
- Plectromerus thomasi Nearns & Branham, 2008
- Plectromerus turnbowi Nearns & Branham, 2008
- Plectromerus unidentatus Fisher, 1942
- Plectromerus wappesi Giesbert, 1985
References
- ↑ Bezark, Larry G. A Photographic Catalog of the Cerambycidae of the World Archived 2013-08-27 at the Wayback Machine. Retrieved on 22 May 2012.
This article is issued from Wikipedia. The text is licensed under Creative Commons - Attribution - Sharealike. Additional terms may apply for the media files.
