Kenosha Regional Airport
Summary
Airport typePublic
OwnerCity of Kenosha
ServesKenosha, Wisconsin
Time zoneCST (UTC−06:00)
  Summer (DST)CDT (UTC−05:00)
Elevation AMSL742 ft / 226 m
Coordinates42°35′44″N 087°55′40″W / 42.59556°N 87.92778°W / 42.59556; -87.92778
Websitewww.kenosha.org/...
Maps
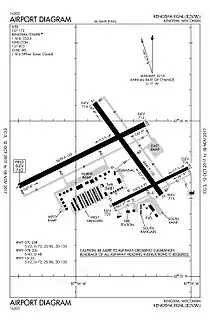
FAA airport diagram
FAA airport diagram
ENW is located in Wisconsin
ENW
ENW
Location of airport in Wisconsin
ENW is located in the United States
ENW
ENW
ENW (the United States)
Runways
Direction Length Surface
ft m
7L/25R 6,600 2,012 Concrete
15/33 4,440 1,353 Concrete
7R/25L 3,302 1,006 Asphalt/concrete
Statistics
Aircraft operations (2021)59,998
Based aircraft (2023)223

Kenosha Regional Airport (IATA: ENW, ICAO: KENW, FAA LID: ENW) is a city-owned public-use airport located four nautical miles (7 km) west of the central business district of Kenosha, a city in Kenosha County, Wisconsin, United States.[1]

The airport is an air-traffic-controlled general aviation facility with no scheduled passenger service.

It is included in the Federal Aviation Administration (FAA) National Plan of Integrated Airport Systems for 2023–2027, in which it is categorized as a national reliever airport facility.[2]

Facilities and aircraft

Kenosha Regional Airport covers an area of 974 acres (394 ha) at an elevation of 742 feet (226 m) above mean sea level. It has three runways: 7L/25R is 6,600 by 100 feet (2,012 x 30 m) with a concrete surface; 15/33 is 4,440 by 100 feet (1,353 x 30 m) with a concrete surface; 7R/25L is 3,302 by 75 feet (1,006 x 23 m) with an asphalt/concrete surface.[1]

For the 12-month period ending December 31, 2021, the airport had 59,998 aircraft operations, an average of 164 per day: 93% general aviation, 7% air taxi and less than 1% military.

In December 2023, there were 223 aircraft based at this airport: 173 single-engine, 20 multi-engine, 17 jet, 12 helicopter and 1 glider.[1]

See also

References

  1. 1 2 3 4 FAA Airport Form 5010 for ENW PDF, effective December 28, 2023.
  2. "NPIAS Report 2023-2027 Appendix A" (PDF). Federal Aviation Administration. October 6, 2022. Retrieved December 4, 2022.


This article is issued from Wikipedia. The text is licensed under Creative Commons - Attribution - Sharealike. Additional terms may apply for the media files.