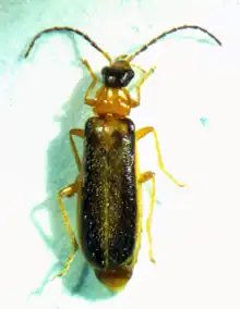
Rhagonycha mollis
Scientific classification Edit this classification
Domain: Eukaryota
Kingdom: Animalia
Phylum: Arthropoda
Class: Insecta
Order: Coleoptera
Family: Cantharidae
Genus: Rhagonycha
Species:
R. mollis
Binomial name
Rhagonycha mollis
(Fall, 1936)

Rhagonycha mollis is a species of soldier beetle in the family Cantharidae.[1][2] It is found in North America.[1]

References

  1. 1 2 "Rhagonycha mollis Report". Integrated Taxonomic Information System. Retrieved 2018-05-03.
  2. "Rhagonycha mollis Species Information". BugGuide.net. Retrieved 2018-05-03.

Further reading

  • Lobl, I.; Smetana, A., eds. (2007). Catalogue of Palaearctic Coleoptera, Volume 4: Elateroidea - Derodontoidea - Bostrichoidea - Lymexyloidea - Cleroidea - Cucujoidea. Apollo Books. ISBN 978-8788757675.


This article is issued from Wikipedia. The text is licensed under Creative Commons - Attribution - Sharealike. Additional terms may apply for the media files.